Tin tức, bài viết mới nhất về :

Thời tiết

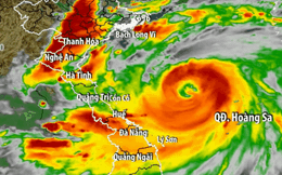
Những điểm đặc biệt của cơn bão số 5 Kajiki: Mạnh thêm 7 cấp chỉ trong 2 ngày

Những điểm đặc biệt của cơn bão số 5 Kajiki: Mạnh thêm 7 cấp chỉ trong 2 ngày

24/08/2025 08:16:00 PM

Cơn bão số 5 (tên quốc tế là Kajiki) đang mạnh lên và di chuyển rất nhanh (tốc độ khoảng 25 km/giờ) về phía vùng biển và đất liền khu vực Trung Bộ nước ta.

Thời tiết 4/8: Bắc Bộ ban ngày nắng nóng trên 39°C, từ chiều tối mưa lớn và dông

Thời tiết 4/8: Bắc Bộ ban ngày nắng nóng trên 39°C, từ chiều tối mưa lớn và dông

03/08/2025 08:15:00 PM

Dự báo thời tiết ngày 4/8, Bắc Bộ có nơi nắng nóng đặc biệt gay gắt với nhiệt độ cao nhất vượt 39°C, từ chiều tối và đêm, khu vực này bước vào đợt mưa to và dông.

Thời tiết đêm 20/7: Bão mạnh nhất cấp 11-12, giật cấp 15 hướng về khu vực Bắc vịnh Bắc Bộ

Thời tiết đêm 20/7: Bão mạnh nhất cấp 11-12, giật cấp 15 hướng về khu vực Bắc vịnh Bắc Bộ

20/07/2025 08:41:00 PM

Theo Trung tâm Dự báo khí tượng thủy văn Quốc gia, hồi 16 giờ ngày 20/7, vị trí tâm bão ở vào khoảng 21,8 độ Vĩ Bắc; 112,8 độ Kinh Đông, trên vùng biển phía Bắc khu vực Bắc Biển Đông, cách Quảng Ninh-Hải Phòng khoảng 560 km về phía Đông.

Thời tiết 21/7: Bắc Bộ, Bắc Trung Bộ bước vào đợt mưa lớn, nguy cơ ngập lụt

Thời tiết 21/7: Bắc Bộ, Bắc Trung Bộ bước vào đợt mưa lớn, nguy cơ ngập lụt

20/07/2025 07:20:00 PM

Dự báo thời tiết ngày 21/7, do tác động của bão số 3 Wipha, Bắc Bộ và Bắc Trung Bộ bước vào đợt mưa to đến rất to, nguy cơ xảy ra lũ gây ngập lụt.

Ngày mai, miền Bắc sẽ mưa to đến rất to

Ngày mai, miền Bắc sẽ mưa to đến rất to

01/07/2025 07:44:00 PM

Dự báo, mưa lớn ở Bắc Bộ sẽ kéo dài đến hết đêm mai.

Từ đêm mai miền Bắc bước vào đợt mưa rất lớn, có nơi trên 500mm

Từ đêm mai miền Bắc bước vào đợt mưa rất lớn, có nơi trên 500mm

27/06/2025 07:40:00 PM

Từ đêm mai, miền Bắc bước vào đợt mưa lớn dồn dập kéo dài khoảng 5 ngày với tổng lượng mưa phổ biến 100-300mm, có nơi trên 500mm.

Thế giới chỉ còn chưa đầy 3 năm để giữ 'mục tiêu 1,5 độ C'

Thế giới chỉ còn chưa đầy 3 năm để giữ 'mục tiêu 1,5 độ C'

21/06/2025 09:49:00 AM

Các nhà khoa học cảnh báo lượng khí CO₂ thải ra hiện nay đang khiến mục tiêu kiềm chế nhiệt độ toàn cầu tăng dưới 1,5 độ C ngày càng khó đạt được.

Thời tiết cả nước dịp Tết dương lịch 2025 như thế nào?

Thời tiết cả nước dịp Tết dương lịch 2025 như thế nào?

27/12/2024 08:30:00 PM

Dự báo, dịp Tết Dương lịch 2025, khu vực Bắc Bộ trưa chiều trời nắng; Trung Bộ, Tây Nguyên và Nam Bộ có mưa.

Tin gió mùa đông bắc mới nhất: Đêm nay và ngày mai, nhiều nơi mưa rất to

Tin gió mùa đông bắc mới nhất: Đêm nay và ngày mai, nhiều nơi mưa rất to

27/12/2024 07:15:00 PM

Đêm nay, không khí lạnh tăng cường mạnh thêm gây mưa lớn cho khu vực từ Thừa Thiên Huế đến Phú Yên. Tại Bắc Bộ, trời tiếp tục rét.

Bức ảnh chụp lại hiện tượng "ánh sáng lạ" ở Đà Nẵng trưa nay: Chiếu thẳng hướng Chùa Linh Ứng khiến dân tình xôn xao

Bức ảnh chụp lại hiện tượng "ánh sáng lạ" ở Đà Nẵng trưa nay: Chiếu thẳng hướng Chùa Linh Ứng khiến dân tình xôn xao

16/09/2024 08:55:00 PM

Hình ảnh này nhanh chóng được chia sẻ và khiến mọi người bàn tán xôn xao.

Nắng nóng kinh hoàng, nhiều nơi gần 43 độ C

Nắng nóng kinh hoàng, nhiều nơi gần 43 độ C

28/04/2024 01:08:00 PM

Trải dài từ miền Bắc đến miền Nam là nắng nóng đặc biệt gay gắt với nhiệt độ cao nhất phổ biến 39 đến 42 độ C, có nơi ở Thanh Hoá, Nghệ An, Quảng Bình, Quảng Trị gần 43 độ C

Miền Bắc tiếp tục mưa rét, vùng núi có nơi dưới 8 độ C

Miền Bắc tiếp tục mưa rét, vùng núi có nơi dưới 8 độ C

25/02/2024 02:33:00 PM

Do không khí lạnh liên tục được bổ sung, hôm nay (25/2), miền Bắc tiếp tục mưa nhỏ, mưa phùn, trời rét, vùng núi cao có nơi dưới 8 độ C.

Dự báo thời tiết mùng 4 Tết: Miền Bắc tăng nhiệt, miền Nam đề phòng triều cường

Dự báo thời tiết mùng 4 Tết: Miền Bắc tăng nhiệt, miền Nam đề phòng triều cường

12/02/2024 08:55:00 PM

Dự báo thời tiết mùng 4 Tết, nhiệt độ miền Bắc tăng, trưa chiều trời hửng nắng, miền Nam cần đề phòng triều cường gây ngập úng.

Dự báo thời tiết ngày 29/1: Miền Bắc tăng nhiệt, nhiều nơi hứng mưa rào

Dự báo thời tiết ngày 29/1: Miền Bắc tăng nhiệt, nhiều nơi hứng mưa rào

28/01/2024 07:16:00 PM

Dự báo thời tiết ngày 29/1, miền Bắc tăng nhiệt nhẹ, trời có mưa, mưa rào rải rác, vùng núi cao Bắc Bộ khả năng xảy ra băng giá, mưa tuyết.

Dự báo thời tiết 10 ngày từ 28/1 đến 6/2 cho Hà Nội và cả nước

Dự báo thời tiết 10 ngày từ 28/1 đến 6/2 cho Hà Nội và cả nước

28/01/2024 02:20:00 PM

Bắc Bộ và Bắc Trung Bộ ngày 28/1 trời rét hại, ngày 29/1 trời rét đậm, rét hại, vùng núi cao Bắc Bộ có khả năng xảy ra băng giá, mưa tuyết.

Không khí lạnh tràn về, miền Bắc chuyển mưa rét

Không khí lạnh tràn về, miền Bắc chuyển mưa rét

08/01/2024 06:05:00 PM

Dự báo từ ngày 10/1, một đợt không khí lạnh tràn xuống nước ta khiến nền nhiệt giảm sâu, miền Bắc và Bắc Trung Bộ trời chuyển mưa rét, vùng núi cao xuất hiện rét đậm

Tags: thời tiết , mưa rét , không khí lạnh

Tuần tới, miền Bắc khả năng đón đợt không khí lạnh

Tuần tới, miền Bắc khả năng đón đợt không khí lạnh

07/01/2024 08:18:00 PM

Dự báo thời tiết ngày 8/1, miền Bắc duy trì hình thái thời tiết đêm và sáng trời rét, thời kỳ ngày 13-14/1, khu vực này khả năng trời chuyển rét.

Tags: thời tiết

Không khí lạnh tăng cường, miền Bắc mưa rải rác

Không khí lạnh tăng cường, miền Bắc mưa rải rác

05/01/2024 07:15:00 AM

Hôm nay (5/1), miền Bắc chỉ còn rét về đêm và sáng, trưa chiều nền nhiệt tăng, trời nhiều mây, có sương mù. Dự báo từ mai, miền Bắc chuyển mưa nhỏ rải rác. Khu vực miền Trung nhiều mây, có mưa dông cục bộ. Tây Nguyên và Nam Bộ ngày nắng ít mưa.

Tags: thời tiết

Thời tiết ngày 6/11: Không khí lạnh gây mưa ở Bắc Bộ và Bắc Trung Bộ

Thời tiết ngày 6/11: Không khí lạnh gây mưa ở Bắc Bộ và Bắc Trung Bộ

05/11/2023 09:34:00 PM

Thời tiết ngày 6/11, do ảnh hưởng của không khí lạnh, Bắc Bộ và Bắc Trung Bộ có mưa rào và dông rải rác, cục bộ có nơi mưa to với lượng mưa trên 70mm.

Tags: thời tiết

Gió mùa đông bắc sắp tràn về, miền Bắc có nơi lạnh 16 độ C

Gió mùa đông bắc sắp tràn về, miền Bắc có nơi lạnh 16 độ C

05/11/2023 02:46:00 PM

Dự báo khoảng sáng mai (6/11), bộ phận không khí lạnh này sẽ ảnh hưởng đến khu vực vùng núi phía Bắc và khu Đông Bắc, sau đó mở rộng ảnh hưởng ra miền Bắc và Bắc Trung Bộ, trời chuyển mưa dông, nền nhiệt giảm.

Tags: thời tiết , không khí lạnh